Subasta Inmueble Cód. SM325

Subasta en EN BLOQUE de 2 parcelas unificadas, en el Partido de Gral. Rodriguez. Estado: OCUPADO.

La inscripción está cerrada

Finaliza en

Descripción del bien

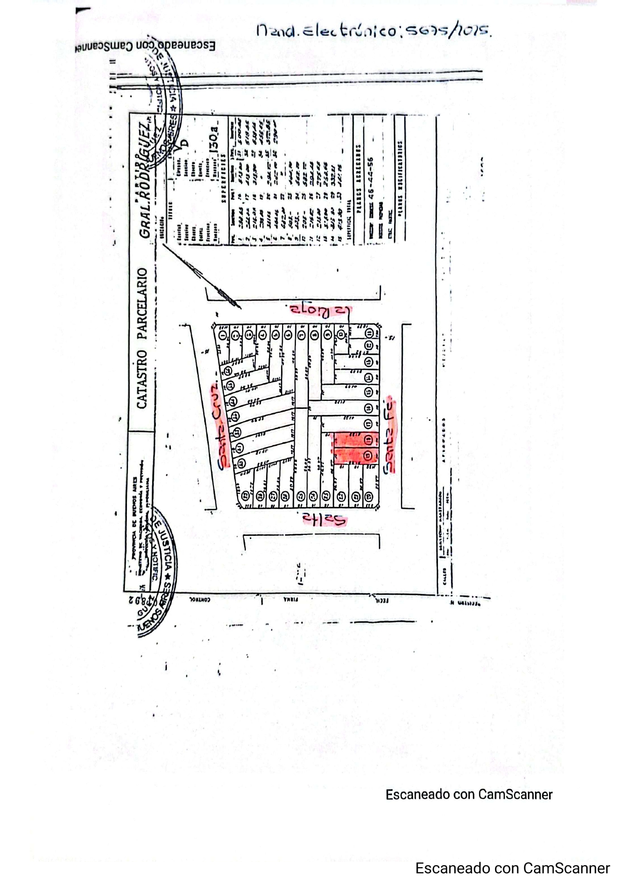
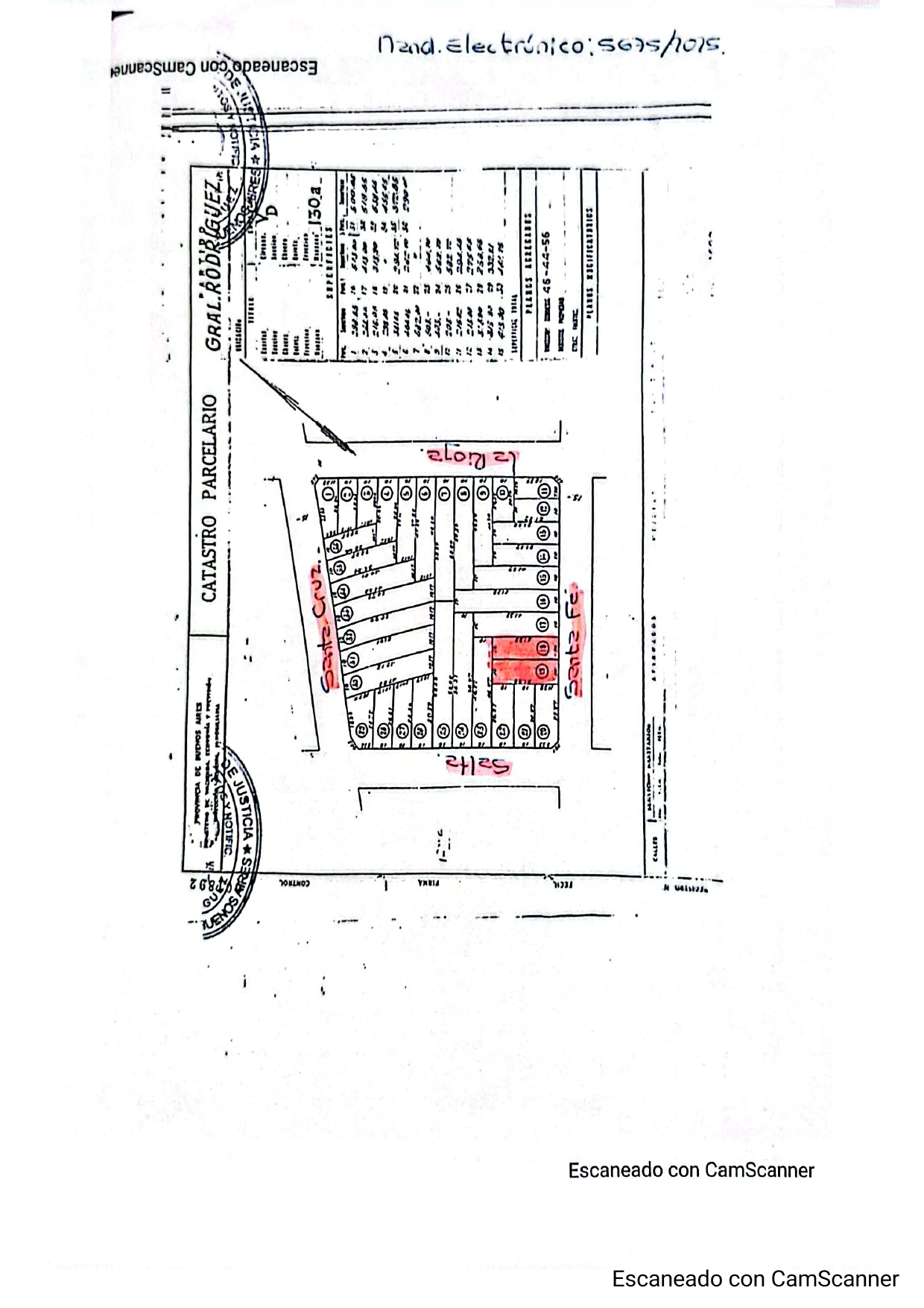
Subasta EN BLOQUE de los inmuebles: Matrícula N° 21942 Partido Gral. Rodriguez, Provincia de Buenos Aires, Circunscripción 5, Sección D, Manzana 130a, Parcela 18, y Matrícula N° 21943, Partido Gral. Rodriguez, Provincia de Buenos Aires, Circunscripción 5, Sección D, Manzana 130a, Parcela 19. Ambas parcelas se encuentran unificadas y de construcciones de material, en muy precario estado de conservación, su frente es de alambre con palos y ligustrina y el asfalto es de calle de tierra. Según informe de dominio cada parcela tiene una superficie de 313.90 dm2. Estado de ocupación: según mandamiento de constatación de fecha 12/11/2025 la Propiedad se encuentra OCUPADA por el Sr. Cabral Ceferino (DNI 10.619.578) que vive con su hija Cabral Emilce Romina de 44 años de edad la cual es discapacitada, que lo hace en razón de dueño desde el año 1978, ya que compro dichos terrenos, que posee escritura, boleto de compra venta y algunos impuestos pagos.

 
19/02/2026 - 10:00 AM
 
11/03/2026 - 10:00 AM
 
27/03/2026 - 10:00 AM
 Requiere depósito en garantía
 Permite compra en comisión

Inmueble N° 1

SANTA FE S/N - SANTA BRIGIDA

Domicilio del inmueble

Departamento judicial
MORENO
Localidad
SANTA BRIGIDA
SANTA FE S/N
1748
21942
GRAL. RODRIGUEZ (046)
046-53721

Nomenclatura Catastral

V
D
130a
18

Inmueble N° 2

SANTA FE S/N - SANTA BRIGIDA

Domicilio del inmueble

Departamento judicial
MORENO
Localidad
SANTA BRIGIDA
SANTA FE S/N
1748
21943
GRAL. RODRIGUEZ (046)
046-53722

Nomenclatura Catastral

V
D
130a
19
JUZGADO EN LO CIVIL Y COMERCIAL Nº 3 - SAN MARTIN
CLAUDIO NORBERTO RUFACH
Auto de subasta
Edicto
AUTOS: FERNANDEZ RITA J. C/ CABRAL SEFERINO S/ EJECUCION HIPOTECARIA (B-160521-0 // Nro. interno: 45.500) en trámite ante el Juzgado en lo Civil y Comercial nro 3 del Departamento Judicial San Martín. SUBASTA: comenzará el día 11 de marzo de 2026 a las 10:00 horas y finalizará el día 27 de marzo de 2026 a las 10:00 horas. EXHIBICIÓN DEL BIEN: será el día 02 de marzo de 2026 de 11 a 12 hs. BASE: $ 22.000.000. DEPÓSITO EN GARANTÍA: $ 1.100.000 (5% de la base). Aquel interesado en participar de la subasta deberá abonar dicho importe como máximo 72 hs. antes al inicio de la puja virtual, en la CUENTA JUDICIAL N° 5100-027-0929299/0; C.B.U. 0140138327510092929903, CUIT 30-70721665-0, del Banco de la Provincia de Buenos Aires, Sucursal Tribunales de San Martín. AUDIENCIA DE ADJUDICACIÓN: fijase fecha para el acta de adjudicación respectiva la del día 13 de Abril de 2026 a las 10:00 hs. (art. 38 Ac. 3604 SCJBA), que se celebrara bajo la modalidad de videoconferencia por Sistema Microsoft Teams conforme lo preve la resolución 480/20 y cc. de la SCJBA, debiendo los letrados de las partes y el Martillero designado en autos, en el término de cinco días denunciar la dirección de correo electrónico para que en forma remota se lleve a cabo la misma, previa individualización y verificación de la identidad a su cargo, adjuntando con la antelación necesaria el DNI escaneado. Hágase saber a los intervinientes, de conformidad con la Res. 816/20 y su anexo de la SCJBA, que a los fines de una mejor utilización de la aplicación Microsoft Teams se recomienda leer los manuales e instructivos publicados por la SCJBA en el link: http://www.scba.gov.ar/institucional/nota.asp?expre=COVID-19%20(Coronavirus).%20Gu%EDa%20para%20la%20realizaci%F3n&veradjuntos=no . En tal acto, el adjudicatario deberá acreditar su identidad y concurrir munido también del comprobante de depósito y/o transferencia bancaria que acredite haber abonado las sumas correspondientes al depósito en garantía y al SALDO DE PRECIO. En igual sentido, deberá acreditar el pago de la comisión a favor del martillero y aportes de ley (a cuyos efectos el Auxiliar de Justicia deberá denunciar previamente su cuenta bancaria y constar la misma en las publicaciones a librarse). SALDO DE PRECIO: Deberá acreditarse su pago al momento de celebrarse la audiencia de adjudicación. COMISIÓN MARTILLERO: se establece la comisión para el Martillero del 3% a cargo de cada parte, total 6%, más el 10% de los honorarios en concepto de aporte previsional a cargo del comprador (conforme art. 54 de la ley 14085) -todo ello en el acto de la firma del acta de adjudicación. COMPRA EN COMISIÓN: se autoriza la puja en comisión, en cuyo caso, y al momento de pujar en comisión, deberá individualizar a su comitente, debiendo ambos estar previamente inscriptos en el RSJD (art.582 CPCC; art.21 3er. Párrafo Ac.3604). CESIÓN DE BOLETO: se deja constancia que se autoriza la cesión de los derechos emergentes del acta de adjudicación, siempre que sea previa a la toma de la posesión del inmueble por parte del comprador. DEUDAS: las deudas que pesen sobre el inmueble deberán ser soportadas con el precio de la venta hasta la toma de posesión por parte del comprador. Hágase saber que para el caso de que el inmueble se encuentre ocupado por inquilino y el mismo resulte comprador en subasta, deberá continuar abonando el canon locativo estipulado hasta la efectiva toma de posesión y en igual sentido, hágase saber al futuro comprador, que DEBERÁ hacerse cargo de la deuda por EXPENSAS comunes aún antes de la toma de la posesión, para el caso de resultar insuficiente los fondos del producido de la subasta. DEUDAS (conforme a Edicto): Arba Part. Inmobiliaria 046-53721 (Parc.18) y Part. Inmobiliaria 046-53722 (Parc. 19) al 25/5/2025 No Registran deudas. Impuesto Municipal Parc. 18 al 30/5/2025 $. 299.248,24. Impuesto Municipal Parc. 19 al 30/5/2025 $. 299.248,24. O.S.N Fuera de área al 2º Bimestre del año 1993. Aguas Argentinas Fuera de Radio al 15/5/2014. Aysa. Fuera de área al 9/6/2025. Sin Expensas 3/12/2024. GASTOS DE INSCRIPCIÓN: Los gastos de inscripción se encuentran a cargo del comprador. POSESIÓN: la posesión del inmueble se ordenará una vez aprobado el remate y la liquidación de gastos del Martillero, pago el saldo de precio y designado comprador definitivo (arts. 586, 36 inciso tercero del CPCC).
ACREDITACIÓN DE POSTORES: hasta las 10:00 horas del día 06 de marzo de 2026 los usuarios deberán preinscribirse a la subasta desde su cuenta y abonar el depósito en garantía. Una vez realizadas ambas acciones, para transformarse en postor y obtener el código de puja, deberán remitir el comprobante para validar el pago a la Seccional San Martín por correo electrónico subastas-sm@scba.gov.ar o comunicarse al 4753-6305 y/o 4753-1138 internos 24209 y 24208, para solicitar un turno a ese efecto. Sólo con estos pasos cumplimentados en debida forma el sistema electrónicamente habilitará el código de postor asignado que le permitirá participar de la subasta. DEVOLUCIÓN DE LOS DEPÓSITOS EN GARANTÍA: art. 39 Regl. Ac. 3604 y modif. Introd. por Ac. 3875 (22-11-2017), por la cual a aquellos oferentes que no resultaron ganadores, les será devuelto de oficio en forma inmediata y automática mediante oficio a confeccionar por el Juzgado dirigido al Banco de la Provincia de Buenos Aires disponiendo el reintegro a las respectivas cuentas bancarias de los participantes. EXIMICIÓN DEL DEPÓSITO EN GARANTÍA: Para el supuesto de solicitar la eximición del depósito en garantía, el ejecutante deberá acompañar testimonio de la resolución judicial que lo exime del pago del mismo, completar el formulario de inscripción en la página web de la SCBA y presentarlo en la seccional correspondiente para su validación.
INFORMACIÓN DE INTERÉS: El sistema informático toma el huso horario de doce (12) horas, por lo tanto, el indicador AM es un período con inicio en la medianoche (00:00) hasta las 11:59. Mientras que el indicador PM, comienza al mediodía (12:00) hasta las 11:59 de la noche. Aquellos interesados en participar de la subasta deberán encontrarse previamente registrados en el Registro de Subastas Judiciales, como usuarios del sistema. CONSULTAS: Registro de Subastas Judiciales Seccional San Martín, tel: 4753-6305 y/o 4753-1138 internos 24209 y 24208 correo electrónico: subastas-sm@scba.gov.ar , o ante el Registro General de Subastas Judiciales: teléfono (0221) 410-4400 internos: 42816, 44443, 44123, 44124, 44125 y 44001, correo electrónico: subastas@scba.gov.ar . MARTILLERO: CLAUDIO NORBERTO RUFACH. Teléfono: 15-6281-7353, correo electrónico: Claudio.r1966@hotmail.com . TIEMPO DE EXTENSIÓN: En caso que en los últimos tres minutos previos al cierre de la puja interactiva los postores realizaran ofertas, la subasta se extenderá a fin de garantizar que los otros postores puedan mejorar la oferta. A efectos de visualizar la última postura efectuada, deberá mantener actualizada la página pulsando F5.
Tramo actual N°1 $ 22.000.000,00
Próximo tramo Nº 2
$ 23.100.000,00

Ultimas Ofertas realizadas

  • N°1 Postor 60015 $ 22.000.000,00

Próximos tramos

  • Tramo N°2 $ 23.100.000,00
  • Tramo N°3 $ 24.200.000,00
  • Tramo N°4 $ 25.300.000,00
  • Tramo N°5 $ 26.400.000,00
  • Tramo N°6 $ 27.500.000,00
  • Tramo N°7 $ 28.600.000,00
  • Tramo N°8 $ 29.700.000,00
  • Tramo N°9 $ 30.800.000,00
  • Tramo N°10 $ 31.900.000,00
  • Tramo N°11 $ 33.000.000,00

Postores inscriptos

1 postor en la subasta
Suprema Corte de Justicia de la Prov. de Buenos Aires. Av. 13 entre 47 y 48 - Planta Baja - La Plata - Conmutador: (0221)-410-0214. <<< Versión: 2.2.0.2 >>>